xxx Knollwood Cir, Albemarle, NC 28001 Assigned

  • $43,700

(LAND) SFR NEW BUILD OPPORTUNITY — ENTITLED & RECORDED LOT IN ALBEMARLE NC (28001)

ASKING PRICE: $43,700

SFR POST-CONSTRUCTION VALUE (PER LOT): ≈ $285,000


Location

  • Located just minutes north of Downtown Albemarle, NC
  • Situated on Knollwood Circle, an established residential road with city utilities
  • Surrounding homes reflect a strong resale market, with recent new-construction sales near $285K+

Zoning & Development

  • Zoning: City of Albemarle R-10 General Residential District (recently rezoned from GHBD)
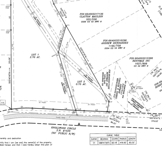
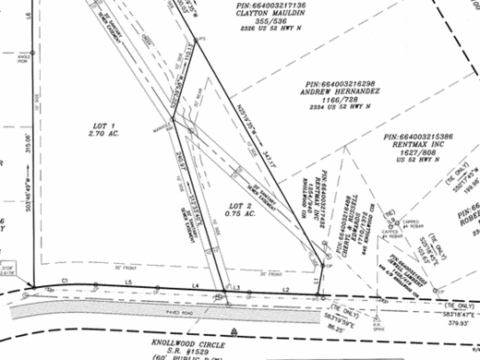
  • Entitlement: Rezoned to R-10 and Minor Subdivision recorded on 10/8/25 (creating Lot 2 at 0.75 acres)
  • Original Parcel: 3.45 acres – split up to create Lot 2 (0.75 ac)
  • Permitted Uses: Single-Family residential construction

Utilities & Infrastructure

  • Public Water & Sewer available at paved road frontage
  • Existing sewer main runs through the property (per recorded survey)
  • 125.67 ft of total paved road frontage on Knollwood Circle
  • No flood zone or wetlands impact the site
  • Ideal layout for utility connections and front-loaded driveways

Lot Conditions & Specs

  • Size: 0.75 acres
  • Frontage: 125.67 ft on Knollwood Circle
  • Condition: Wooded, raw land — never developed
  • Topography: Gently sloped terrain with favorable drainage patterns
  • Future Potential: Qualifies for a single SFR build; Deed restriction was placed on lot to limit future subdivide & duplex use.

R-10 Dimensional Requirements

Single-Family Minimums

  • Lot Size: 10,000 sq ft
  • Frontage: 20 ft min.
  • Setbacks: 30′ Front / 10′ Side / 30′ Rear


COMPS:

 

*CLICK HERE TO SUBMIT OFFER*

Contact for all info & offers!

704-741-2044

Tianna@zeres.capital

Transaction Details

Looking for a CASH transaction. This is a direct sale of a property we own. A non-refundable deposit is required in order to secure the purchase.


Submitting Your Offer

Please submit your highest and best offer after completing all due diligence. Offers will be evaluated based on price, convenience, and speed of closing.

All offers must be cash, private lending, or hard money only, with the ability to close within 21 days or less.
Price is net to seller—buyer pays all closing costs unless otherwise agreed upon.

Once an offer is accepted:

  • The purchase contract must be signed and
  • The Earnest Money Deposit (EMD) must be received within 8 hours to the designated title company or attorney’s office.

Minimum EMD: $5,000 (Non-refundable unless title cannot be cleared.)

All properties are sold with clear, insurable title through a reputable title company or closing attorney.


Basic Terms

We own this property and are selling it as-is. Buyer is responsible for performing their own due diligence and verifying all information, including zoning, access, utilities, and development potential.

Any stated value opinions are provided as a courtesy only. Seller makes no guarantees or warranties, express or implied, regarding value or condition.


Wholesalers and Real Estate Agents

You may share this property with your buyers; however, please do not post this listing publicly without our written consent.

Wholesalers and agents may add their fee or commission on top of our listed price when marketing to clients. To coordinate or discuss further, please contact us directly.

*CLICK HERE TO SUBMIT OFFER*

Price:
$43,700
Address:
xxx Knollwood Cir
Albemarle, NC 28001
Lot Size:
0.75 acres
Terms:
Assignment of Contract
Property Type:
Land

Call 704-741-2044 for more details

Enter Your Information Below To Get Immediate Access

... to our Investment opportunities. Available properties on the next page.

  • This field is for validation purposes and should be left unchanged.

Property Location